Plan Elbrink II in Borculo
7 kavels te koop in Borculo
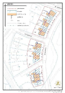
Na de succesvolle verkoop van de kavels in fase 1 van plan Elbrink II in Borculo starten we nu met de verkoop van 7 nieuwe kavels. Wilt u een kavel kopen? U kunt zich inschrijven van maandag 19 januari tot en met 27 februari tot 17.00 uur. De kavels liggen aan de zuidkant van Borculo, in de wijk Elbrink II. De woningen komen in een cirkel die grenst aan de vroegere rioolwaterzuivering (RWZI). De wijk is ruim opgezet, met aandacht voor groen en waterberging.
Soorten kavels
Van de zeven kavels zijn twee kavels bedoeld voor twee-onder-een-kapwoningen. Deze kavels zijn ongeveer 372 vierkante meter en 398 vierkante meter groot. De prijs is vanaf € 98.680 exclusief btw. De andere vijf kavels zijn bedoeld voor vrijstaande woningen. Deze kavels zijn 530 vierkante meter tot 688 vierkante meter groot. De prijs is vanaf € 153.700 exclusief btw.
Inschrijven
- Inschrijven kan alleen via de website van de gemeente Berkelland (> Bouwen, verbouwen en ruimtelijke plannen > Bouwen > Nieuwbouw > Kavels). Hier vindt u ook een brochure en meer informatie over de kavels.
- Via DigiD kunt u naar het digitale inschrijfformulier. Heeft u hulp nodig bij het inschrijven, neemt u dan contact met ons op.
- Na uw inschrijving ontvangt u een bevestiging per mail.
- Komt er meer dan één inschrijving voor een kavel, dan bepaalt een notaris via loting wie de kavel krijgt.
Meer weten?
Kijk voor meer informatie op www.gemeenteberkelland.nl/kavelselbrink. Heeft u vragen, dan kunt u contact opnemen met de heer Hans Rouwenhorst, medewerker Vastgoed en Grondzaken, telefoon 0545 – 250 250. Of stuur een e-mail naar hans.rouwenhorst@gemeenteberkelland.nl.
